|
Figure 1. (a) Representation of the structure and main domains of the human Meis2, Meis1, and Meis3 proteins. The domains are labeled in Meis2 and the color code is maintained in Meis1 and Meis3. (b) The 3D structure obtained from the AlphaFold Protein Structure Database and PDBe-KB (Protein DATA Bank in Europe Knowledge Base) for human Meis2 Uniprot Id: O14770.2 Entrez Gene ID: 4212. The central part, including the homeodomain (cyan rectangle) and the Nt loop, contains the antigenic sequence recognized by the antibody used (violet rectangle). (c) Alignment of the Meis1, Meis2, and Meis3 orthologs between Homo sapiens and Xenopus laevis. (d) Percentage of homology with the amino acid sequence of the antigenic epitope for the Meis1, Meis2, and Meis3 orthologs in Xenopus laevis and Homo sapiens. (e) Western blot analyses of brain extracts from Xenopus (X.l), dilution of the purified Meis2 human protein (H.s), and Rattus norvegicus (R.n), stained with the mouse anti Meis2 antibody. Standard molecular weight (MW) is represented on the left side of the photograph. |
|
Figure 2. Phylogenetic tree illustrating the relationships among the amino acid sequences of the transcription factor Meis2 in the indicated animal models based on a COBALT multiple alignment of the human Meis2 orthologs, as defined by the NCBI orthologs criteria. The accession number of each ortholog is provided under the species name in the diagram. The scale bar represents distance, and the percentage of calculated homology with human Meis2 (Uniprot Id: O14770.2) is shown in each terminal branch. Free images were obtained from BioRender or Adobe Stock and modified using CANVAS. |
|
Figure 3. Photomicrographs of Meis2-ir transverse (a–t) and sagittal (u–x) sections at representative brain levels of Xenopus during embryonic stages. Topological dorsal and rostral orientations are indicated by rows, with respect to the alar-basal boundary (ABB). Stages 37–38 (a–g), 42 (h–n), and 46 (o–q) are indicated on each photomicrograph. The approximate levels of transverse sections are indicated in (u). Dashed lines mark the approximate boundary between neuromeres and telencephalic subdivisions. See the list for abbreviations. Scale bars = a–n =50 μm, p–t, v–x = 100 μm = 200 μm.
[[ Abbreviations from Glossary: H = hypothalamus ; Hb = habenula ; LLN = lateral line nucleus ; MGE, medial ganglionic eminence ; OB = olfactory bulb ; OT = optic tectum ; Pal = pallium ; PO = preoptic area ; p1-p3 = prosomeres 1-3 ; Rm = medius reticular nucleus ; r0 = isthmus ; r1-r8 = rhombomeres 1-8 ; Spal = subpallium ; Tegm = mesencephalic tegmentum ]]
|
|
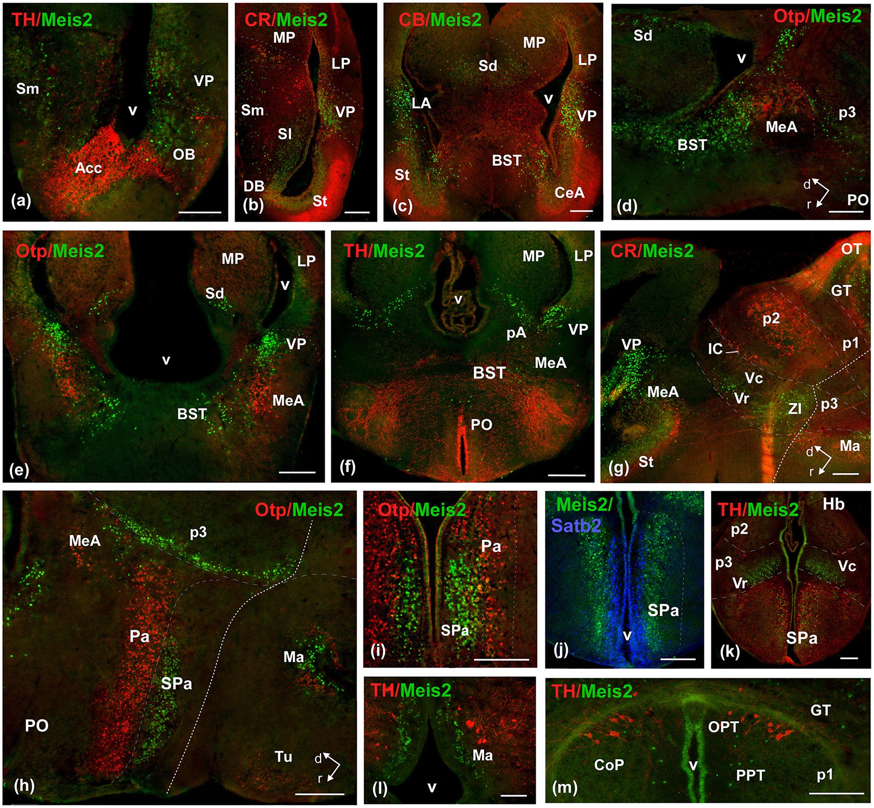
Figure 4. Photomicrographs of double-labeled transverse (a–d, g–j, n–p) and sagittal (e, f, k–m, q) sections at representative brain levels of Xenopus from stages 42 to 50. Topological dorsal [[d]] and rostral [[r]] orientations are indicated by rows, with respect to the alar-basal boundary (ABB), indicated by a rough dashed line in sagittal sections. Color codes for the markers are indicated in the upper left corner of each photo. Thin dashed lines represent the approximate boundaries within telencephalic, diencephalic, mesencephalic, and rhombencephalic subdivisions. See the list for abbreviations. Scale bar p–x = 100 μm, u = 200 μm, others = 50 μm.
[[ Abbreviations from Glossary: Cb = cerebellum ; H = hypothalamus ; Hb = habenula ; Ip = interpeduncular nucleus ; Lc = locus ceruleus ; LLN = lateral line nucleus ; Ma = mamillary nucleus ; MeA = medial amygdala ; MGE, medial ganglionic eminence ; OB = olfactory bulb ; oc = optic chiasm ; OT = optic tectum ; Pa = paraventricular hypothalamic domain ; Pal = pallium ; PO = preoptic area ; p1-p3 = prosomeres 1-3 ; Rm = medius reticular nucleus ; r0 = isthmus ; r1-r8 = rhombomeres 1-8 ; SPa = subparaventricular hypothalamic domain ; Spal = subpallium ; Tegm = mesencephalic tegmentum; Tp = torus principalis ; Tu = tuberal hypothalamic domain ; v = ventricle ]] |
|
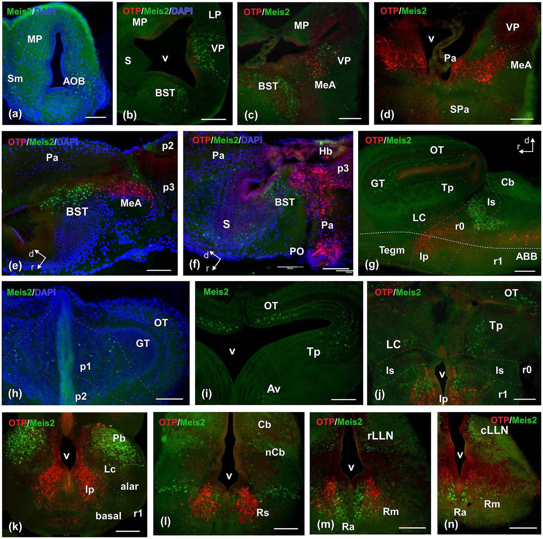
Figure 5. Photomicrographs of double-labeled transverse (a–d, h–n) and sagittal (e–g) sections at representative brain levels of Xenopus from stages 53–56. Topological dorsal and rostral orientations are indicated by rows, with respect to the alar-basal boundary (ABB), indicated by a rough dashed line in sagittal sections. In all photographs, green is Meis2ir, red is Otp, and blue is DAPI staining. Thin dashed lines represent the approximate boundaries within telencephalic, diencephalic, mesencephalic, and rhombencephalic subdivisions. See the list for abbreviations. Scale bar, all = 100 μm.
[[ Abbreviations from Glossary: AOB = accessory olfactory bulb ; Av = anteroventral tegmental nucleus ; BST = bed nucleus of the stria terminalis ; Cb = cerebellum ; cLLN = caudal nucleus of the lateral line ; GT = griseum tectale ; Hb = habenula ; Ip = interpeduncular nucleus ; Is = isthmic nucleus ; Lc = locus ceruleus ; LC = laterocaudal mesencephalic nucleus ; LP = lateral pallium ; MeA = medial amygdala ; MP = medial pallium ; nCb = cerebellar nucleus; OT = optic tectum ; Pa = paraventricular hypothalamic domain ; Pb = parabrachial area ; PO = preoptic area ; p1-p3 = prosomeres 1-3 ; Ra = raphe ; Rm = medius reticular nucleus ; Rs = superior reticular nucleus ; r0 = isthmus ; r1-r8 = rhombomeres 1-8 ; S = septum ; Sm = medial septum ; SPa = subparaventricular hypothalamic domain ; Spal = subpallium ; Tegm = mesencephalic tegmentum; Tp = torus principalis ; v = ventricle ; VP = ventral pallium ]] |
|
Figure 6. Schematic diagrams showing the rostrocaudal distribution of Meis2-ir [[ir = immunoreactive]] in the adult brain. In all diagrams, dorsal is oriented upward. The main subdivisions are indicated by dashed lines. The approximate levels are indicated in the upper sagittal scheme. See the list for abbreviations.
[[ Abbreviations from Glossary: ; ABB = alar-basal boundary ; Ad = anterodorsal tegmental nucleus ; BST = bed nucleus of the stria terminalis ; Cb = cerebellum ; cLLN = caudal nucleus of the lateral line ; DCN = dorsal column nucleus ; DP = dorsal pallium ; gl = glomerular layer of the olfactory bulb ; GT = griseum tectale ; H = hypothalamus ; Igl = internal granular layer of the olfactory bulb ; Ip = interpeduncular nucleus ; Is = isthmic nucleus ; LA = lateral amygdala ; LC = laterocaudal mesencephalic nucleus ; LP = lateral pallium ; LR = laterorostral mesencephalic nucleus ; Ma = mamillary nucleus ; MeA = medial amygdala ; Mes = mesencephalon ; ml = mitral layer ; MP = medial pallium ; nCb = cerebellar nucleus; Nsol = nucleus of the solitary tract ; OB = olfactory bulb ; Ols = superior olivary complex ; OT = optic tectum ; pc = posterior commissure ; p1-p3 = prosomeres 1-3 ; Ra = raphe ; Ras = superior raphe column ; Rh = rombencephalon ; Ri = inferior reticular nucleus ; Rm = medius reticular nucleus ; Rs = superior reticular nucleus ; r0 = isthmus ; r1-r8 = rhombomeres 1-8 ; Sd = dorsal septum ; Sl = lateral septum ; Sm = medial septum ; Sol = solitary tract ; SPa = subparaventricular hypothalamic domain ; St = striatum ; Tel = telencephalon ; Tp = torus principalis ; VP = ventral pallium; Vpr = principal sensory trigeminal nucleus ; VTA = ventral tegmental area ]] |
|
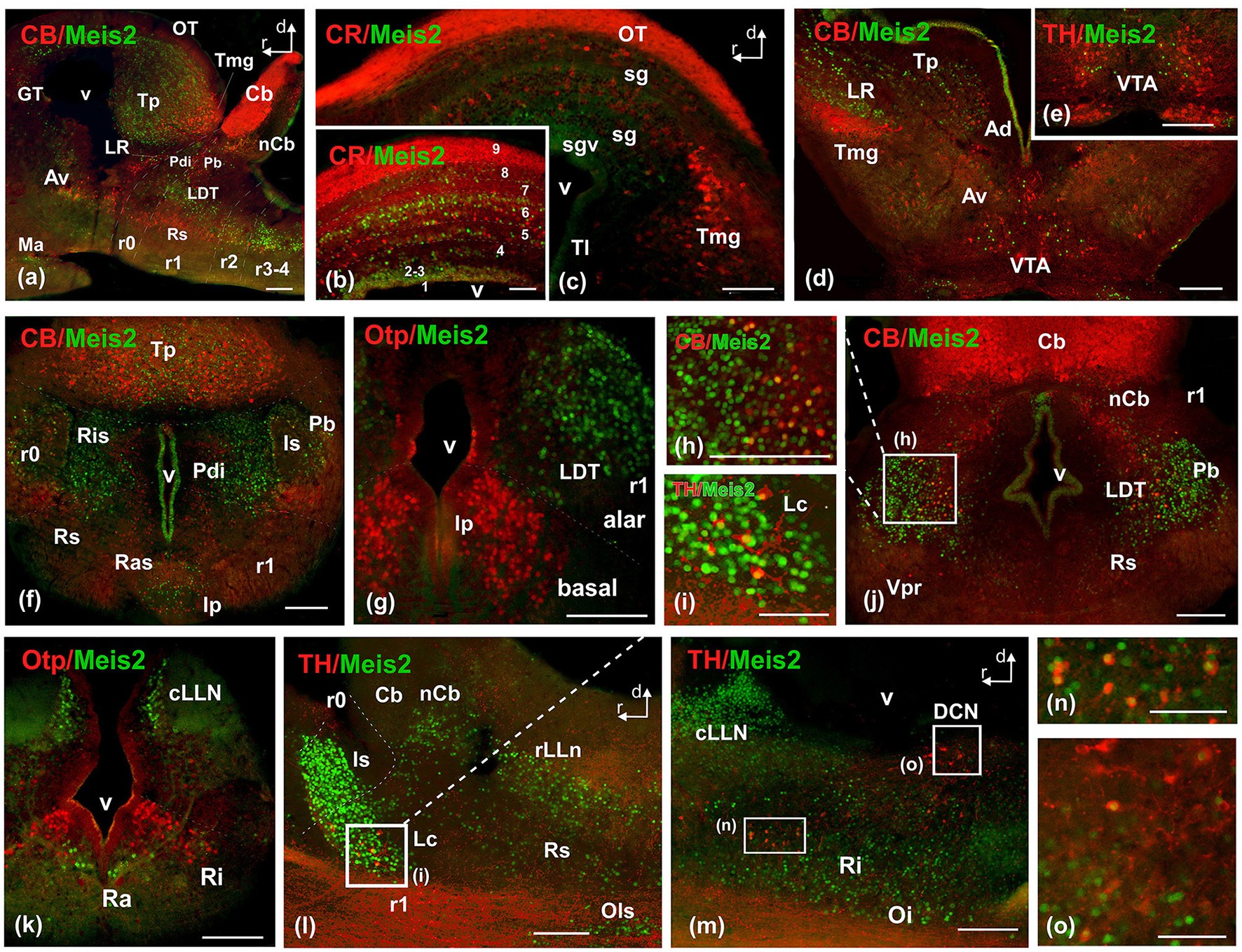
Figure 7. Photomicrographs of double-labeled transverse (a–c, e, f, i–m) and sagittal (d, g, h) sections at representative brain levels of Xenopus from stages 53–56. Topological dorsal and rostral orientations are indicated by rows, with respect to the alar-basal boundary (ABB), indicated by a rough dashed line in sagittal sections. Color codes for the markers are indicated in the upper left corner of each photo. Thin dashed lines represent the approximate boundaries within telencephalic, diencephalic, mesencephalic, and rhombencephalic subdivisions. See the list for abbreviations. Scale bar, all = 100 μm. |
|
Figure 8. Photomicrographs of double-labeled transverse (a–c, e, f, i–m) and sagittal (d, g, h) sections at representative brain levels of Xenopus from stages 53–56. Image (h) is a magnification of (j) at the level of the laterodorsal nucleus. (i) is a magnification of the locus ceruleus in (l). Images (n) and (o) are magnifications of (m) at the reticular formation and DCN respectively. Topological dorsal and rostral orientations are indicated by rows. The alar-basal boundary (ABB) is indicated by a rough dashed line in sagittal sections. Color codes for the markers are indicated in the upper left corner of each photo. Thin dashed lines represent the boundaries within telencephalic, diencephalic, mesencephalic, and rhombencephalic subdivisions. See the list for abbreviations. Scale bar, no = 25 μm, rest = 100 μm. |
|
Figure 9. (a) Sagittal schematic diagrams representing the distribution of Meis1 (blue), (b) Meis2 (green), and Meis3 (dark green lines) in the mouse postnatal brain (Allen brain), compared to the distribution of Meis2-ir in the Xenopus brain (c). In all diagrams, dorsal is oriented upward and rostral is oriented to the left. The main subdivisions are indicated by thin lines. See the list for abbreviations. |
|
Figure 10. Timeline of the appearance of Meis2 cell groups in the developing brain of Xenopus laevis.
|
|
Supplementary Figure 1
Table of developmental stages of Xenopus laevis summarized after Nieuwkoop and Faber (1967) and the numbers of experimental animals used in each stage. |
|
Supplementary Figure 2
Schematic diagrams of the rostrocaudal distribution of Meis2-ir in the brain of early embryonic stages. Dots represent the location of Meis2ir cells. In all schemes dorsal is oriented upward. The main subdivisions are indicated by dashed lines. The approximate levels are indicated in the upper sagittal scheme. For abbreviations, see list. |
|
Supplementary Figure 3
Schematic diagrams of the rostrocaudal distribution of Meis2-ir in the brain of late embryonic stage. Dots represent the location of Meis2-ir cells. In all schemes dorsal is oriented upward. The main subdivisions are indicated by dashed lines. The approximate levels are indicated in the upper sagittal scheme. For abbreviations, see list. |
|
Supplementary Figure 4
Schematic diagrams of the rostrocaudal distribution of Meis2-ir in the brain of premetamorophic larval stage. Dots represent the location of Meis2-ir cells. In all schemes dorsal is oriented upward. The main subdivisions are indicated by dashed lines. The approximate levels are indicated in the upper sagittal scheme. For abbreviations, see list. |
|
Supplementary Figure 5
Schematic diagrams of the rostrocaudal distribution of Meis2-ir in the brain of prometamorophic larval stage. Dots represent the location of Meis2-ir cells. In all schemes dorsal is oriented upward. The main subdivisions are indicated by dashed lines. The approximate levels are indicated in the upper sagittal scheme. For abbreviations, see list. |
|
Supplementary Figure 6
Schematic diagrams of the rostrocaudal distribution of Meis-2ir in the brain of metamorphic climax stages. Dots represent the location of Meis2-ir cells. In all schemes dorsal is oriented upward. The main subdivisions are indicated by dashed lines. The approximate levels are indicated in the upper sagittal scheme. For abbreviations, see list. |